Local Service Overview

Get Black Ant Extermination in Red Oak, TX

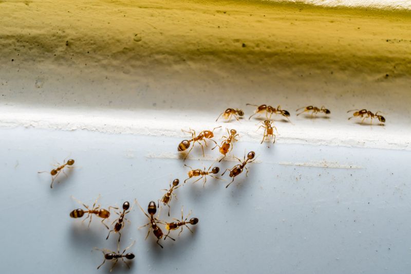
Black Ant Extermination services for property owners in Red Oak, TX, address ant infestations, prevent future invasions, and handle residential or commercial pest control projects.

Red Oak, TX

Black ant extermination services are a practical solution for property owners in Red Oak, TX seeking to maintain a comfortable and safe living environment. These services help prevent ant infestations that can disrupt daily routines, damage property structures, or contaminate food supplies. By addressing ant problems promptly, property owners can enjoy a more functional and durable space, reducing the likelihood of recurring issues and minimizing the need for frequent maintenance.

Choosing professional extermination services also enhances curb appeal by keeping outdoor areas and entry points free of visible pests. A pest-free property not only looks more inviting but can also contribute to a sense of safety and peace of mind. Local service providers offer tailored solutions designed to effectively manage ant populations, supporting long-term comfort and the overall integrity of residential or commercial properties in the area.

Get Black Ant Extermination Quotes

  • Ant Extermination - needed when black ants invade kitchens, pantries, or outdoor spaces around Red Oak, TX.
  • Nest Removal - required if black ant colonies establish underground or within wall voids in nearby neighborhoods.
  • Infestation Control - necessary when black ants spread across multiple rooms or areas in residential or commercial properties.
  • Preventive Services - advised to stop future black ant invasions in homes or businesses in the Red Oak area.
  • Barrier Treatments - used to create a protective zone around structures to keep black ants from entering.

Get Black Ant Extermination Quotes

Black Ant Extermination
Black Ant Extermination
Black Ant Extermination

Black ant extermination services focus on eliminating infestations caused by black ants, which are common household pests. These services typically involve thorough inspections to identify the extent of the ant problem and pinpoint their entry points and nesting sites. Treatment methods may include targeted applications of insecticides, baiting systems, and barriers designed to prevent ants from re-entering the property. The goal is to effectively reduce or eradicate black ant populations and prevent future invasions, helping property owners regain control over their living or working spaces.

Black ant problems can lead to various nuisances and concerns. While black ants are generally not known to cause structural damage, their presence can be unsettling and disruptive, especially when they invade kitchens, pantries, or dining areas. In some cases, black ants may contaminate food supplies or create unsanitary conditions. Persistent infestations can also attract other pests or lead to increased frustration for property occupants. Professional extermination services help address these issues by providing targeted treatments that reduce ant activity and minimize the likelihood of recurring problems.

These extermination services are commonly used on residential properties, including single-family homes, apartments, and condominiums. Commercial properties such as restaurants, grocery stores, and food processing facilities also frequently seek black ant control to maintain hygiene standards and comply with health regulations. Additionally, property managers and landlords may utilize these services to ensure tenant satisfaction and uphold property value. Regardless of property type, effective black ant extermination often requires tailored approaches suited to the specific environment and infestation severity.

Partnering with local pest control providers ensures that property owners can access specialized treatments designed for black ant infestations. These professionals assess the unique conditions of each property, implement appropriate treatment strategies, and provide advice on preventive measures. Engaging with experienced local pros can help address black ant issues promptly and efficiently, reducing the impact of infestations on daily life or business operations. Proper treatment and ongoing prevention efforts can contribute to a pest-free environment for a variety of property types.

The overview below groups typical Black Ant Extermination projects into broad ranges so you can see how smaller, mid-sized, and larger jobs often compare in Red Oak, TX.

In many markets, a large share of routine jobs stays in the lower and middle ranges, while only a smaller percentage of projects moves into the highest bands when the work is more complex or site conditions are harder than average.

Initial Inspection - The cost for a basic black ant inspection typically ranges from $50 to $150, depending on property size and complexity. Larger or more complex properties may incur higher fees for thorough assessments.

Perimeter Treatment - Applying a perimeter treatment to eliminate black ants usually costs between $100 and $300. The price varies based on the extent of the area and the treatment method used.

Ongoing Pest Control - Regular pest control service plans for black ant prevention tend to cost between $40 and $70 per month. These plans often include scheduled treatments and inspections.

One-Time Service - A single black ant extermination service can range from $150 to $400, depending on the size of the affected area and severity of the infestation. Additional treatments may be necessary for persistent issues.

Actual totals will depend on details like access to the work area, the scope of the project, and the materials selected, so use these as general starting points rather than exact figures.

Get a Black Ant Extermination Quote

Ant Infestation Control - Local pest control providers offer specialized treatments to eliminate black ants and prevent future invasions in residential and commercial properties.

Indoor Ant Extermination - Professionals can assess indoor spaces and apply targeted solutions to remove black ants from kitchens, basements, and other affected areas.

Outdoor Ant Barrier Services - Service providers implement barrier treatments around building exteriors to reduce ant populations and protect properties from re-infestation.

Ant Nest Removal - Local experts identify and safely remove ant nests to address the root cause of infestations and minimize recurrence.

Preventive Pest Management - Pest control specialists develop ongoing plans to monitor and manage ant activity, reducing the likelihood of future problems.

Commercial Ant Control - Commercial pest services assist businesses in maintaining ant-free environments through tailored treatment plans and ongoing monitoring.

Black Ant Extermination

When selecting a professional for black ant extermination services, it is important to evaluate their experience in handling ant infestations within residential settings. Homeowners should consider how long a service provider has been operating in the local area and whether they have a proven track record of effectively managing ant issues similar to those faced in Red Oak, TX. In addition, reviewing written expectations from the contractor can clarify the scope of work, methods used, and any guarantees or follow-up procedures, helping to ensure transparency and alignment with homeowner needs.

Reputable references and reviews can serve as valuable indicators of a service provider’s reliability and quality of work. Homeowners are encouraged to seek out local pros with positive feedback from previous clients, especially those who have addressed black ant problems in similar environments. Verifying references or testimonials can provide insights into the contractor’s professionalism, effectiveness, and ability to deliver results consistent with homeowner expectations.

Effective communication is a critical aspect when working with local pest control providers. Clear, prompt, and transparent exchanges can help homeowners understand treatment options, scheduling, and any necessary preparations. It is advisable to choose a service provider known for maintaining open lines of communication, ensuring that questions are answered thoroughly and that all aspects of the extermination process are well understood. This approach fosters a collaborative experience and can contribute to a smoother, more satisfactory service outcome.

Get a Black Ant Extermination Quote

Property owners in Red Oak, TX use Black Ant Extermination services for practical projects around their homes and businesses. The sections below highlight everyday jobs and straightforward project options.

Black Ant Extermination
Black Ant Extermination

Black ant extermination services are often sought by property owners in Red Oak, TX, experiencing persistent ant activity around their homes or businesses. Common situations include discovering large colonies in lawns, garden beds, or along foundation walls, which can lead to concerns about potential property damage or unwanted pests entering indoor spaces. Local service providers can assess the extent of an ant problem and recommend targeted treatments to help eliminate colonies and prevent future invasions.

Property owners may also look for ant extermination when noticing increased ant activity during warmer months or after recent renovations that disturb ant habitats. In some cases, ants may be attracted to food sources or moisture around the property, prompting residents to seek professional help to address the issue effectively. Experienced local contractors can provide solutions tailored to specific situations, helping to maintain a pest-free environment in residential or commercial properties.

Get a Black Ant Extermination Quote

Why are black ants attracted to my home? Black ants are drawn to food sources, water, and shelter, often entering homes in search of these essentials.

How can I identify a black ant infestation? Signs include visible trails of ants, small piles of debris, or noticing ants around food and water sources inside the property.

Are black ants harmful to my home or health? While black ants typically do not pose health risks, they can contaminate food and create nuisance issues indoors.

What extermination options do local pros offer for black ants? Service providers may use baiting, targeted treatments, or barrier methods to eliminate black ant colonies effectively.

How can I prevent future black ant infestations? Keeping your property clean, sealing entry points, and removing attractants can help reduce the likelihood of future invasions.

Black Ant Extermination Solutions - Local service providers offer targeted treatments to eliminate black ants and prevent future infestations.

Inspection and Identification - Professionals can assess property conditions to identify ant entry points and nesting areas.

Customized Treatment Plans - Service providers develop tailored approaches based on the extent of the black ant problem.

Ongoing Monitoring and Prevention - Experts can recommend measures to keep black ants from returning to residential or commercial spaces.

Black Ant Extermination

Considering Black Ant Extermination for a property in Red Oak, TX? The sections above highlight common project types, practical options, and details that often shape the scope of work.

When you are ready, use the quote form to share a few details about your project. Local pros can review the basics and respond with options that match what you have in mind.

Get a Black Ant Extermination Quote

Black Ant Extermination Quotes

Our Trusted Partners
Cantu Pest Control
Orkin
Hawx Pest Control