Local Service Overview

Get Black Ant Extermination in Mansfield, TX

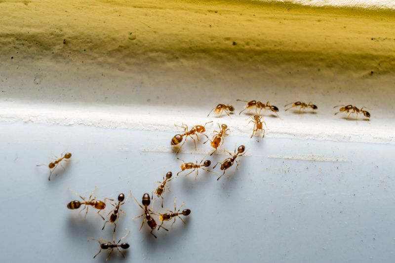
Black Ant Extermination services in Mansfield, TX and nearby areas address ant infestations, preventing property damage and ensuring a pest-free environment through targeted treatment projects.

Mansfield, TX

Black ant extermination services are a practical solution for property owners in Mansfield, TX seeking to maintain a comfortable and safe living environment. Ant infestations can lead to discomfort, damage to structures, and contamination of food supplies, making prompt and effective removal essential. Professional exterminators use targeted treatments to eliminate existing colonies and prevent future invasions, helping to preserve the functionality of the property and reduce ongoing maintenance needs.

Choosing expert ant extermination offers several benefits, including enhanced curb appeal by maintaining a clean and pest-free exterior. Property owners often prioritize durability in their pest control solutions, ensuring long-lasting results that resist reinfestation. Additionally, effective extermination can contribute to a safer home environment by reducing the risk of pest-related health issues, providing peace of mind and ensuring the property remains a secure and inviting space.

Get Black Ant Extermination Quotes

  • Ant Extermination - needed when black ants invade kitchens, pantries, or outdoor areas around Mansfield, TX.
  • Indoor Black Ant Control - essential for homes experiencing persistent ant trails inside living spaces in nearby communities.
  • Outdoor Black Ant Treatment - appropriate when ant colonies establish nests around yards, gardens, or building foundations.
  • Black Ant Inspection Services - useful for identifying the extent of ant infestations and locating hidden nests in residential or commercial properties.
  • Preventive Black Ant Services - recommended to keep black ants from returning after initial treatment in Mansfield and surrounding areas.

Get Black Ant Extermination Quotes

Black Ant Extermination
Black Ant Extermination
Black Ant Extermination

Black ant extermination services are designed to eliminate and control infestations of black ants in residential and commercial properties. These services typically involve inspecting the affected areas to identify the extent of the infestation and locating entry points, nests, and trails. Professionals often use targeted treatments such as baiting, dusts, or liquid insecticides to eradicate black ants and prevent future invasions. The goal is to reduce ant populations efficiently while minimizing disruption to the property and its occupants.

Black ant problems can cause significant nuisance and, in some cases, property damage. Ant colonies may invade kitchens, pantries, or other areas where food is stored, contaminating supplies and creating unsanitary conditions. In addition, large infestations can become difficult to manage without professional intervention, leading to persistent invasions that compromise comfort and hygiene. Effective extermination services help address these issues by removing the colonies and implementing preventative measures to reduce the likelihood of recurrence.

Various types of properties utilize black ant extermination services, including single-family homes, apartment complexes, restaurants, and retail stores. Residential properties often seek these services to protect food supplies and maintain a clean living environment. Commercial establishments, especially those involved in food service or retail, require pest control solutions to meet health standards and ensure customer satisfaction. Additionally, property managers and landlords may engage exterminators to manage infestations across multiple units or common areas.

Professional black ant extermination services typically involve a thorough assessment of the property to identify problem areas and nesting sites. Service providers employ a range of treatment options tailored to the severity of the infestation and the specific environment. Follow-up inspections and treatments may be recommended to ensure complete eradication and to prevent future invasions. Contacting local pest control experts can help property owners and managers develop an effective plan to address black ant issues and maintain pest-free spaces.

The overview below groups typical Black Ant Extermination projects into broad ranges so you can see how smaller, mid-sized, and larger jobs often compare in Mansfield, TX.

In many markets, a large share of routine jobs stays in the lower and middle ranges, while only a smaller percentage of projects moves into the highest bands when the work is more complex or site conditions are harder than average.

Initial Inspection - The cost for a black ant extermination inspection typically ranges from $50 to $150. This fee covers a thorough assessment of the affected areas to determine the extent of the infestation.

One-Time Treatment - A single treatment service usually costs between $150 and $300. Prices depend on the size of the property and the severity of the ant problem.

Ongoing Treatments - Regular maintenance plans or follow-up treatments can range from $75 to $200 per visit. These services help to ensure the infestation is fully eradicated over time.

Additional Costs - Extra charges may apply for specialized treatments or for properties with extensive infestations, often adding $50 to $100 to the overall expense.

Actual totals will depend on details like access to the work area, the scope of the project, and the materials selected, so use these as general starting points rather than exact figures.

Get a Black Ant Extermination Quote

Black Ant Extermination services involve specialists who identify and eliminate black ant colonies to prevent ongoing infestations in residential and commercial properties.

Local pest control providers offering black ant extermination focus on targeted treatments to reduce ant populations and minimize damage caused by these pests.

Experts in black ant removal utilize various methods, including baits and chemical treatments, to ensure effective eradication and long-term control.

Black ant extermination services are often integrated with broader pest management plans to address multiple pest issues within a property.

Professionals in this field assess property conditions to identify ant entry points and recommend preventative measures against future invasions.

Contacting local exterminators for black ant services can help property owners address infestations efficiently and restore pest-free environments.

Black Ant Extermination

When selecting a professional for black ant extermination services, it’s important to consider their experience in handling ant infestations similar to the one in your home. Reputable local service providers often have extensive backgrounds in pest control, which can contribute to effective and targeted treatments. Homeowners should inquire about the provider’s familiarity with black ant behaviors, common entry points, and successful strategies to ensure the chosen professional has the necessary expertise to address the issue efficiently.

Clear communication and well-defined expectations are essential when working with pest control providers. Reputable local pros typically provide detailed explanations of their treatment methods, the scope of work, and any preparations needed before service. Understanding what to expect can help homeowners make informed decisions and feel confident in the process. It’s beneficial to ask potential providers how they approach customer communication, including follow-up procedures and how they handle questions or concerns throughout the service.

References from previous clients and reviews can serve as valuable indicators of a provider’s reputation and reliability. Local service providers with positive feedback often demonstrate consistent quality in their work and professionalism. Homeowners are encouraged to seek out reputable references or reviews when available, as these can offer insights into the provider’s track record and customer satisfaction. Remember, the information below connects users with local pros but does not perform the work itself, so gathering this information directly from the service providers can help ensure a positive experience.

Get a Black Ant Extermination Quote

Property owners in Mansfield, TX use Black Ant Extermination services for practical projects around their homes and businesses. The sections below highlight everyday jobs and straightforward project options.

Black Ant Extermination
Black Ant Extermination

Black ant extermination services are commonly sought after by property owners in Mansfield, TX, facing persistent ant infestations. These insects can invade homes and businesses, especially during warmer months, causing discomfort and potential property damage. Professionals specializing in ant control can assess the extent of the problem, identify entry points, and implement targeted treatments to eliminate colonies and prevent future invasions.

Property owners may also look for black ant extermination when noticing increased activity around foundations, kitchens, or outdoor areas. Ant infestations can interfere with daily routines and compromise sanitation, prompting residents and business owners to seek expert assistance. Local service providers can offer solutions tailored to the specific needs of Mansfield properties, helping to restore a pest-free environment.

Get a Black Ant Extermination Quote

Why are black ants attracted to my home? Black ants are often drawn to food sources, moisture, and shelter within homes, especially in kitchens and bathrooms.

What signs indicate a black ant infestation? Common signs include visible ant trails, small piles of dirt or debris near entry points, and finding ants in kitchens or along walls.

How do extermination services eliminate black ants? Local service providers typically use targeted treatments, including baits and sprays, to remove black ant colonies and prevent future infestations.

Are black ant infestations dangerous? While black ants are generally not harmful to humans, they can contaminate food and cause inconvenience, making professional removal advisable.

How can I prevent black ants from returning? Keeping surfaces clean, sealing entry points, and removing food and water sources can help reduce the likelihood of future black ant issues.

Black Ant Extermination Methods - Local service providers can implement various strategies to effectively eliminate black ants from residential or commercial properties.

Integrated Pest Management - Pros may use a combination of baiting, trapping, and exclusion techniques to control ant infestations.

Preventative Treatments - Professionals often recommend ongoing barrier treatments to reduce the likelihood of future ant problems.

Inspection and Identification - Local experts can assess property conditions to identify ant entry points and nesting sites for targeted removal.

Black Ant Extermination

Considering Black Ant Extermination for a property in Mansfield, TX? The sections above highlight common project types, practical options, and details that often shape the scope of work.

When you are ready, use the quote form to share a few details about your project. Local pros can review the basics and respond with options that match what you have in mind.

Get a Black Ant Extermination Quote

Black Ant Extermination Quotes

Our Trusted Partners
Cantu Pest Control
Orkin
Hawx Pest Control