Local Service Overview

Get Ants Extermination Service in Johnson County, TX

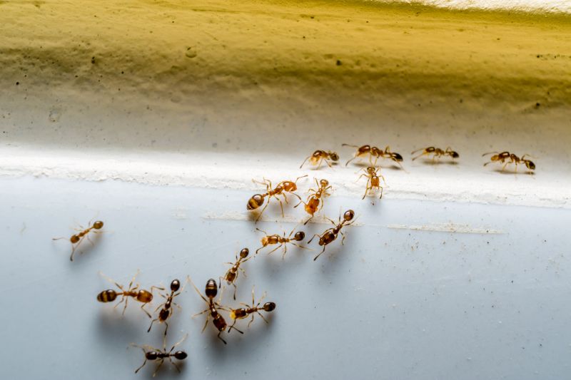
Ants extermination services for Johnson County, TX, and nearby areas address ant infestations, prevent future invasions, and treat residential and commercial properties.

Johnson County, TX

Ants extermination services provide property owners in Johnson County, TX with effective solutions to manage and eliminate ant infestations. These services help maintain a comfortable living or working environment by preventing the nuisance and potential damage caused by ants. Additionally, addressing ant problems promptly can enhance safety by reducing the risk of ants entering food storage areas or contaminating surfaces, contributing to a healthier space.

Choosing professional ant extermination can also improve the overall functionality and appearance of a property. Proper treatment helps protect structures from potential damage to wiring, insulation, or woodwork, which can result in costly repairs if left unchecked. Furthermore, effective extermination maintains curb appeal by keeping outdoor spaces tidy and free of ant mounds or trails, supporting a well-maintained and inviting property.

Get Ants Extermination Service Quotes

  • Ants Extermination - needed when ants invade homes or commercial properties in Johnson County, TX and surrounding areas.
  • Ants Extermination - required when persistent ant colonies threaten to spread within kitchens, pantries, or storage areas.
  • Ants Extermination - necessary for eliminating ant infestations that compromise hygiene and create nuisance conditions.
  • Ants Extermination - sought after when outdoor ant nests threaten to invade residential yards or garden spaces.
  • Ants Extermination - important for addressing recurring ant problems that persist despite initial treatments.

Get Ants Extermination Service Quotes

Ants Extermination Service
Ants Extermination Service
Ants Extermination Service

Ants extermination services involve identifying and eliminating ant infestations within residential, commercial, or industrial properties. These services typically include thorough inspections to locate ant colonies and entry points, followed by targeted treatments to eradicate existing ants and prevent future invasions. Professionals may use a combination of baiting systems, liquid insecticides, and dust formulations to effectively manage ant populations. The goal is to eliminate visible ants and address the root causes of the infestation to ensure long-term control.

Ant problems can cause significant issues for property owners, including damage to structures, contamination of food supplies, and general nuisance. Carpenter ants, for example, can weaken wooden structures, leading to costly repairs if left unaddressed. Additionally, some ant species tend to form large colonies that can quickly spread throughout a property, making early intervention critical. Ant extermination services help resolve these issues by removing the pests and implementing preventative measures to minimize the risk of future infestations.

Various types of properties utilize ant extermination services, ranging from single-family homes to large commercial facilities. Residential properties often seek assistance to protect their kitchens, gardens, and outdoor spaces from ant incursions. Commercial establishments, such as restaurants and grocery stores, require pest control to maintain sanitary conditions and comply with health regulations. Additionally, warehouses and storage facilities may need ongoing pest management to safeguard inventory and prevent structural damage caused by ant activity.

Professional ant extermination providers tailor their approaches based on the specific property and infestation severity. They assess the extent of the problem and develop customized treatment plans that address both indoor and outdoor areas. Regular inspections and maintenance may be recommended to sustain ant-free environments over time. Contacting local pest control specialists can help property owners find effective solutions to manage ant problems and maintain a pest-free space.

The overview below groups typical Ants Extermination Service projects into broad ranges so you can see how smaller, mid-sized, and larger jobs often compare in Johnson County, TX.

In many markets, a large share of routine jobs stays in the lower and middle ranges, while only a smaller percentage of projects moves into the highest bands when the work is more complex or site conditions are harder than average.

Initial Inspection - The cost for a comprehensive ant inspection typically ranges from $50 to $150, depending on property size and complexity. Larger homes or commercial spaces may incur higher fees. This fee often covers identification of ant species and infestation extent.

Basic Treatment - A standard ant extermination service usually costs between $100 and $300. This includes applying targeted insecticide treatments around entry points and infested areas. Additional treatments may increase the total cost.

Full Property Treatment - For extensive ant problems across an entire property, prices generally range from $200 to $600. This service involves thorough treatment of indoor and outdoor areas to eliminate colonies and prevent future infestations.

Follow-Up Services - Follow-up visits to ensure ant elimination typically cost between $50 and $200 per session. Multiple visits may be recommended depending on the severity of the infestation and the effectiveness of initial treatments.

Actual totals will depend on details like access to the work area, the scope of the project, and the materials selected, so use these as general starting points rather than exact figures.

Get an Ants Extermination Service Quote

Ants Extermination services are essential for removing ant colonies from residential and commercial properties in Johnson County, TX and nearby areas. Local pros specializing in ant control can assess infestation levels and implement targeted treatments.

Ants Pest Control providers focus on eliminating different ant species, including fire ants and carpenter ants, to prevent property damage and health issues caused by infestations. They offer customized solutions based on the specific ant problem.

Ants Inspection and Identification services help pinpoint the type of ant and the extent of the infestation, enabling effective treatment strategies. Local experts can conduct thorough inspections to determine the best course of action.

Ants Prevention and Barrier Treatments services aim to create a protective barrier around properties to deter future ant invasions. Professionals may recommend ongoing maintenance to keep ant populations under control.

Ants Baiting and Monitoring solutions involve placing bait stations to attract and eliminate ants over time. Local providers can set up and monitor bait systems for long-term control.

Ants Extermination Consultation services offer advice on how to reduce attractants and improve sanitation to minimize ant problems. Contacting local experts can help develop an integrated pest management plan.

Ants Extermination Service

When evaluating ant extermination services, experience is a key factor to consider. Local professionals often have extensive knowledge of the specific ant species common in Johnson County, TX, and surrounding areas, which can influence their approach and effectiveness. Pros with a long history of working in the community tend to have a better understanding of local conditions and pests, potentially leading to more tailored and reliable solutions. It’s helpful to review the backgrounds of different service providers to gauge their familiarity with ant control and their track record within the local area.

Clear communication and well-defined expectations are essential when selecting a pest control provider. Reputable local pros typically provide detailed information about their methods, what homeowners can expect during and after treatment, and any necessary follow-up steps. Transparent communication helps ensure that homeowners understand the scope of work and are comfortable with the process. When comparing options, it’s useful to inquire about how service providers explain their procedures and whether they are responsive to questions or concerns.

Reputable references and positive feedback from previous clients can serve as indicators of a reliable ant extermination service. Local providers often have established relationships within the community, making it easier to find reviews or testimonials from homeowners who have previously used their services. Additionally, good communication and transparency are often reflected in the quality of service delivered. Homeowners should seek out service providers with a reputation for professionalism and clarity, ensuring that the chosen pros are trusted and dependable for ant control needs.

Get an Ants Extermination Service Quote

Property owners in Johnson County, TX use Ants Extermination Service services for practical projects around their homes and businesses. The sections below highlight everyday jobs and straightforward project options.

Ants Extermination Service
Ants Extermination Service

Ants extermination services are commonly sought after by property owners in Johnson County, TX, who notice ant activity around their homes or businesses. Common situations include discovering trails of ants inside kitchens, bathrooms, or other living spaces, which can indicate a larger infestation. Property owners may also seek professional help when ants begin to invade outdoor areas, such as gardens or patios, especially during warmer months when ant activity tends to increase.

Many property owners look for ant extermination services to address recurring issues or prevent future problems. Factors such as previous ant sightings, seasonal changes, or the presence of ant nests nearby can prompt the need for professional intervention. Local service providers can offer solutions to help manage ant populations, protect structures from damage, and maintain a pest-free environment around residential or commercial properties.

Get an Ants Extermination Service Quote

How do ant extermination services work? Ant extermination services typically involve inspecting the affected area, identifying ant species and entry points, and applying targeted treatments to eliminate colonies and prevent future infestations.

Are ant extermination treatments safe for pets and children? Many extermination methods are designed to be safe for households with pets and children, but it’s recommended to discuss specific concerns with the local service providers.

How long does an ant extermination treatment last? The effectiveness duration varies based on the treatment type and extent of the infestation; local pros can provide guidance tailored to specific situations.

Can ant extermination services prevent future infestations? Yes, professional services often include inspection and preventative measures to help reduce the likelihood of future ant problems.

What should I do before an ant extermination appointment? It’s advisable to clear the area of clutter and food items to allow access for the service provider and ensure effective treatment.

Ants Identification and Inspection - Local pest control providers can assess your property to identify ant species and determine the extent of the infestation.

Ant Extermination Treatments - Professionals utilize targeted methods to eliminate ant colonies and reduce their presence effectively.

Preventive Ant Control - Service providers can implement strategies to prevent future ant invasions through barrier treatments and exclusion techniques.

Ongoing Ant Management Plans - Experts may recommend maintenance plans to monitor and control ant activity over time, ensuring lasting results.

Ants Extermination Service

Considering Ants Extermination Service for a property in Johnson County, TX? The sections above highlight common project types, practical options, and details that often shape the scope of work.

When you are ready, use the quote form to share a few details about your project. Local pros can review the basics and respond with options that match what you have in mind.

Get an Ants Extermination Service Quote

Ants Extermination Quotes

Our Trusted Partners
Cantu Pest Control
Orkin
Hawx Pest Control