Local Service Overview

Get Black Ant Extermination in Crowley, TX

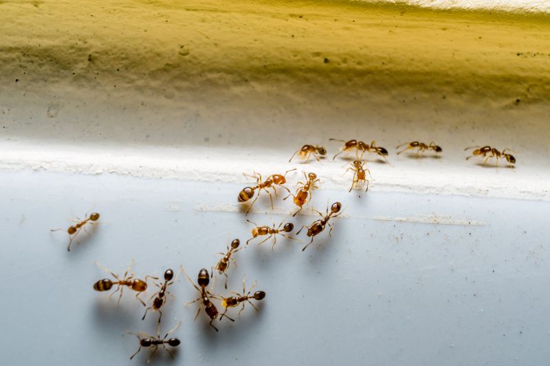
Black Ant Extermination services for property owners in Crowley, TX, typically address ant infestations, prevent future invasions, and treat residential or commercial buildings.

Crowley, TX

Black ant extermination services are a practical solution for property owners in Crowley, TX seeking to maintain a comfortable and safe living environment. Ant infestations can disrupt daily routines and compromise the usability of outdoor and indoor spaces. Professional extermination helps eliminate these pests efficiently, reducing the risk of future invasions and minimizing the need for ongoing maintenance or repeated treatments. This service supports the durability of structures by preventing damage caused by ant activity, contributing to the overall functionality and longevity of the property.

In addition to pest control, black ant extermination offers aesthetic and curb appeal benefits. A property free of ant colonies presents a cleaner, more inviting appearance, enhancing its visual appeal. Property owners often look for solutions that not only address immediate pest issues but also promote long-term peace of mind and a well-maintained exterior. Engaging experienced local service providers ensures that pest problems are handled effectively, helping to preserve the property's value and enjoyment.

Get Black Ant Extermination Quotes

  • Black ant extermination services are needed when ants invade homes or businesses in search of food or shelter.
  • Residential properties in areas like Crowley, TX, may require ant control to prevent infestations from nearby outdoor nests.
  • Commercial spaces experiencing ant activity due to food storage or waste management issues can benefit from professional extermination.
  • Ant removal services are essential in regions where ant populations are increasing and pose a nuisance or health concern.
  • Seasonal ant emergence often prompts property owners in the Dallas-Fort Worth area to seek expert extermination assistance.

Get Black Ant Extermination Quotes

Black Ant Extermination
Black Ant Extermination
Black Ant Extermination

Black ant extermination services focus on eliminating infestations of black ants from residential and commercial properties. These services typically involve thorough inspections to identify the extent of the ant problem and pinpoint entry points and nesting sites. Treatment options may include the application of targeted insecticides, baiting systems, and barrier treatments designed to disrupt the ants’ foraging trails and colony structures. The goal is to reduce or eradicate the black ant population to restore the property’s comfort and prevent further invasions.

Black ants can pose several problems for property owners. While they are often considered nuisance pests, their presence can also lead to potential damage, especially if they establish nests within structural components or electrical wiring. Additionally, black ants can contaminate food supplies and create unsanitary conditions in kitchens, pantries, or food storage areas. Addressing these infestations promptly helps prevent the spread of ants throughout a property and minimizes the risk of recurring issues.

The types of properties that typically utilize black ant extermination services include single-family homes, apartment complexes, restaurants, and retail establishments. Residential properties often seek treatment to protect food supplies and maintain a clean living environment. Commercial properties, especially those involved in food handling or preparation, prioritize pest control to meet health standards and ensure customer satisfaction. Both residential and commercial clients benefit from professional services to manage black ant problems effectively.

Professional black ant extermination services are tailored to the specific needs of each property. Local pest control providers assess the severity of the infestation and recommend appropriate treatment strategies. These services help property owners address existing problems and implement preventative measures to reduce the likelihood of future invasions. Connecting with experienced local professionals ensures that infestations are managed efficiently and safely, helping maintain a pest-free environment.

The overview below groups typical Black Ant Extermination projects into broad ranges so you can see how smaller, mid-sized, and larger jobs often compare in Crowley, TX.

In many markets, a large share of routine jobs stays in the lower and middle ranges, while only a smaller percentage of projects moves into the highest bands when the work is more complex or site conditions are harder than average.

Initial Inspection and Treatment - The cost for a professional black ant inspection and treatment typically ranges from $150 to $300. This includes assessing the extent of the infestation and applying targeted treatments. Prices may vary based on property size and severity of the problem.

Per-Visit Service - Some service providers charge between $100 and $250 per visit for black ant extermination. Multiple visits might be necessary for complete eradication, especially in larger or heavily infested areas.

Comprehensive Pest Control Packages - Full pest control packages that include black ant treatments often cost between $200 and $500. These packages may cover multiple pests and include follow-up visits for ongoing prevention.

Monthly Maintenance Plans - Monthly pest management plans for black ant control generally range from $50 to $150 per month. These plans provide ongoing treatments to prevent future infestations and may include inspections and spot treatments.

Actual totals will depend on details like access to the work area, the scope of the project, and the materials selected, so use these as general starting points rather than exact figures.

Get a Black Ant Extermination Quote

Black Ant Extermination services connect homeowners with local pest control providers specializing in black ant removal and prevention. These professionals offer targeted treatments to eliminate black ant infestations in residential and commercial properties. Contact local experts to address black ant issues effectively in Crowley, TX, and surrounding areas.

Black Ant Extermination

When selecting a professional for Black Ant Extermination services, it is important to consider the experience and expertise of the local providers. Homeowners should look for service providers who have a proven track record in handling ant infestations, particularly those with extensive experience in the specific challenges posed by Black Ants. An understanding of the local environment and common nesting habits can contribute to more effective treatment strategies. Reputable providers often have a history of successful interventions, which can be verified through references or prior customer interactions.

Clear communication and well-defined expectations are essential when working with local pest control professionals. Homeowners should seek service providers who can outline their treatment approach, what the process entails, and any necessary follow-up steps. Properly communicating the scope of work helps ensure that both parties are aligned on the services provided. Additionally, reputable local pros often provide written estimates or plans that detail the treatment methods and any precautions, fostering transparency and trust.

References and reputation play a significant role in choosing a pest control provider for Black Ant Extermination. Homeowners are encouraged to inquire about references or reviews from previous clients in the community. Reliable providers often have a history of satisfied customers and positive feedback, which can be verified through local directories or testimonials. Effective communication, combined with a solid reputation and transparent expectations, helps ensure that homeowners find qualified local professionals capable of addressing their ant issues efficiently and reliably.

Get a Black Ant Extermination Quote

Property owners in Crowley, TX use Black Ant Extermination services for practical projects around their homes and businesses. The sections below highlight everyday jobs and straightforward project options.

Black Ant Extermination
Black Ant Extermination

Black ant extermination services are commonly sought by property owners in Crowley, TX, who are dealing with persistent ant infestations. These insects can invade homes and businesses, especially during warmer months, leading to nuisances and potential property damage. Local service providers can assist in identifying the source of the ant problem and implementing effective treatment methods to help restore comfort and safety.

Property owners may also look for ant extermination services when noticing increased activity around their property or after experiencing an ant sighting indoors. Effective pest control can prevent larger infestations and discourage future visits by these insects. Local contractors can provide tailored solutions to address specific ant issues, helping to maintain a pest-free environment in residential and commercial spaces.

Get a Black Ant Extermination Quote

What are common signs of black ant infestations? Indicators include visible ant trails, small mounds near entry points, and ants inside the home or around food sources.

How do extermination services eliminate black ants? Professionals typically use targeted treatments such as baits and insecticides to remove colonies and prevent future invasions.

Are black ants dangerous to humans or pets? Black ants are generally not harmful, but their presence can be a nuisance and may contaminate food or surfaces.

How can I prevent black ant infestations? Keeping areas clean, sealing entry points, and removing food and water sources can reduce the likelihood of black ant problems.

How do I find local black ant extermination services? Contact local pest control providers to discuss your situation and arrange for professional assistance.

Black Ant Extermination Techniques - Local service providers offer various methods to effectively eliminate black ants, including baiting and barrier treatments.

Inspection and Identification - Professionals can identify ant entry points and nesting sites to develop targeted extermination plans.

Preventive Measures - Experts advise on sealing entry points and removing attractants to reduce future ant invasions.

Ongoing Monitoring - Regular inspections help maintain a black ant-free environment and address new infestations promptly.

Black Ant Extermination

Considering Black Ant Extermination for a property in Crowley, TX? The sections above highlight common project types, practical options, and details that often shape the scope of work.

When you are ready, use the quote form to share a few details about your project. Local pros can review the basics and respond with options that match what you have in mind.

Get a Black Ant Extermination Quote

Black Ant Extermination Quotes

Our Trusted Partners
Cantu Pest Control
Orkin
Hawx Pest Control