Local Service Overview

Get Ants Extermination Service in Burleson, TX

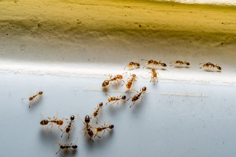
Ants extermination services for property owners in Burleson, TX, and nearby areas address ant infestations, prevent future invasions, and handle residential and commercial ant control projects.

Burleson, TX

Ants extermination services are essential for property owners in Burleson, TX seeking to maintain a safe and comfortable environment. Ant invasions can lead to concerns about hygiene, structural damage, and general nuisance, making professional removal a practical choice. Expert exterminators utilize targeted treatments to effectively eliminate ant colonies, helping to restore the functionality of indoor and outdoor spaces while reducing the likelihood of future infestations.

Choosing professional ant extermination also offers benefits related to durability and curb appeal. Proper treatment can extend the longevity of property features by preventing ant-related damage, and a pest-free exterior enhances the overall appearance of a home or business. This proactive approach supports reduced maintenance needs and helps preserve the property's value, contributing to a more inviting and secure environment.

Get Ants Extermination Service Quotes

  • Ants Extermination - needed when ants invade kitchens, pantries, or outdoor areas around homes in Burleson, TX and nearby regions.
  • Ants Extermination - required when persistent ant trails are seen inside or around residential properties.
  • Ants Extermination - necessary for preventing ant colonies from establishing in lawns, gardens, or structural voids.
  • Ants Extermination - sought after when ant activity increases during warmer months in neighborhoods across Texas.
  • Ants Extermination - essential for addressing ant infestations that threaten food storage or cause nuisance in commercial spaces.

Get Ants Extermination Service Quotes

Ants Extermination Service
Ants Extermination Service
Ants Extermination Service

Ants extermination services involve identifying and eliminating ant infestations within residential, commercial, or industrial properties. Professional pest control providers typically conduct thorough inspections to determine the extent of the ant problem and locate entry points or nests. Treatment methods may include the application of targeted insecticides, baiting systems, or other effective techniques designed to eradicate ants and prevent future invasions. The goal is to reduce ant populations safely and efficiently, helping property owners restore comfort and hygiene.

These services address common issues caused by ant infestations, such as property damage, contamination of food supplies, and general nuisance. Ants can invade kitchens, pantries, and storage areas, often establishing colonies that are difficult to eliminate without professional intervention. In addition to the inconvenience, some ant species may pose health risks or trigger allergic reactions. Professional exterminators use proven strategies to control and prevent ant populations, minimizing the risk of recurring problems.

Ant extermination services are frequently utilized by a variety of property types, including single-family homes, apartment complexes, restaurants, grocery stores, and warehouses. Residential properties often seek pest control to protect food and maintain a clean living environment. Commercial properties, especially those involved in food handling or storage, prioritize effective ant management to meet health standards and avoid disruptions. Industrial facilities with large storage areas also rely on these services to maintain pest-free conditions.

Property owners interested in ant extermination can contact local pest control providers to assess their specific needs. These professionals offer tailored solutions designed to address the unique challenges of each property type and infestation severity. Whether dealing with a small ant problem or a widespread invasion, professional services aim to deliver effective, long-lasting results to help maintain a pest-free environment.

The overview below groups typical Ants Extermination Service projects into broad ranges so you can see how smaller, mid-sized, and larger jobs often compare in Burleson, TX.

In many markets, a large share of routine jobs stays in the lower and middle ranges, while only a smaller percentage of projects moves into the highest bands when the work is more complex or site conditions are harder than average.

Initial Inspection - The cost for an ant inspection typically ranges from $50 to $150, depending on property size and location. Larger or more complex properties may be on the higher end of the spectrum.

Basic Treatment - A standard treatment for ant infestations generally costs between $100 and $300. This includes applying targeted insecticides to affected areas.

Full Property Extermination - Complete extermination services for larger properties can range from $200 to $600. The price varies based on the extent of the infestation and property size.

Recurring Service Plans - Ongoing ant control plans typically cost between $30 and $70 per month. These plans often include regular treatments and inspections to prevent future infestations.

Actual totals will depend on details like access to the work area, the scope of the project, and the materials selected, so use these as general starting points rather than exact figures.

Get an Ants Extermination Service Quote

Ants Extermination - Local pest control providers offer targeted solutions to eliminate ant colonies and prevent future infestations in residential and commercial properties.

Ants Control for Homes - Professionals can assess and treat indoor and outdoor areas to reduce ant activity and protect the home environment.

Commercial Ants Removal - Business-focused pest control services address ant issues in retail, office, and industrial spaces to maintain a pest-free workplace.

Outdoor Ants Treatment - Experts apply treatments around foundations, gardens, and outdoor structures to control ant populations and safeguard landscaping.

Emergency Ants Extermination - Immediate response services are available to handle severe ant infestations that require prompt action.

Ants Prevention Services - Ongoing maintenance and barrier treatments help prevent ant re-infestations in both residential and commercial settings.

Ants Extermination Service

When comparing ant extermination services in Burleson, TX and surrounding areas, experience is an important factor to consider. Local pros often have a deep understanding of common ant species in the region and are familiar with effective treatment methods. Reviewing the background and length of service of different providers can help identify those with a proven track record in handling ant infestations efficiently. It’s beneficial to seek out references or testimonials from previous clients to gauge the quality of work and reliability of the service providers.

Clear communication of written expectations is essential when selecting an ant extermination professional. Reputable local pros typically provide detailed descriptions of their services, including the scope of work, methods used, and any preparations needed before treatment. This transparency helps ensure that homeowners understand what to expect and can plan accordingly. Asking for a written outline or agreement can further clarify the services offered and prevent misunderstandings.

Reputation and references play a crucial role in choosing a trusted ant extermination service. Homeowners are encouraged to look for local providers with positive reviews and reputable references within the community. Consistent feedback from previous clients can offer insights into the provider’s professionalism, effectiveness, and communication style. Reliable communication channels, such as prompt responses and clear information, also contribute to a smooth service experience, making it easier to coordinate and address any questions or concerns during the process.

Get an Ants Extermination Service Quote

Property owners in Burleson, TX use Ants Extermination Service services for practical projects around their homes and businesses. The sections below highlight everyday jobs and straightforward project options.

Ants Extermination Service
Ants Extermination Service

Ants extermination services are commonly sought by property owners in Burleson, TX when they notice an increasing ant presence around their homes or businesses. Common situations include discovering ant trails in kitchens, bathrooms, or other areas where food and moisture are present. Property owners may also look for professional help if they observe large ant colonies or suspect infestations that could lead to further pest issues if not addressed promptly.

In addition, individuals often seek ant extermination services to prevent potential property damage or health concerns associated with ant colonies. For example, some types of ants can damage wiring or insulation, while others may contaminate food supplies. Contacting local pest control providers can help address these everyday project situations efficiently and effectively, ensuring a pest-free environment.

Get an Ants Extermination Service Quote

How do ant extermination services work? Ant extermination services typically involve assessing the infested area, applying targeted treatments to eliminate ants and their nests, and providing recommendations to prevent future infestations. Local service providers tailor their approach based on the specific ant species and extent of the problem.

Are ant extermination treatments safe for pets and children? Many ant control treatments are formulated to be safe when used as directed, but it is important to consult with the local service provider about any concerns regarding pets and children before treatment.

How long does it take to eliminate an ant infestation? The time to resolve an ant problem varies depending on the severity of the infestation and the treatment method used. A local professional can provide an estimate based on the specific situation.

Will I need multiple treatments to get rid of ants? Some ant infestations may require more than one treatment to fully eliminate all ants and nests. A local service provider can advise on the necessary course of action.

How can I prevent future ant problems? Preventative measures often include sealing entry points, maintaining cleanliness, and eliminating food and water sources. Local pros can offer tailored advice to help keep ants out of the property.

Ants Extermination Solutions - Local service providers offer targeted treatments to eliminate ant infestations and prevent future problems.

Inspection and Identification - Professionals can assess properties to identify ant species and determine the most effective extermination methods.

Barrier and Bait Treatments - Service providers utilize baiting systems and barrier applications to control ant colonies around homes and businesses.

Ongoing Monitoring and Prevention - Local experts can advise on and implement strategies to keep ants from returning, ensuring long-term pest management.

Ants Extermination Service

Considering Ants Extermination Service for a property in Burleson, TX? The sections above highlight common project types, practical options, and details that often shape the scope of work.

When you are ready, use the quote form to share a few details about your project. Local pros can review the basics and respond with options that match what you have in mind.

Get an Ants Extermination Service Quote

Ants Extermination Quotes

Our Trusted Partners
Cantu Pest Control
Orkin
Hawx Pest Control