Local Service Overview

Get Ants Extermination Service in Venus, TX

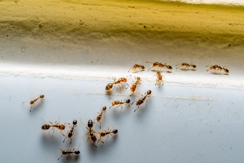
Ants extermination services for property owners in Venus, TX, and nearby areas address ant infestations, prevent future invasions, and handle residential and commercial ant control projects.

Venus, TX

Ants extermination services in Venus, TX help property owners address common pest concerns that can impact daily living. Effective removal and prevention strategies contribute to a more comfortable environment by reducing the presence of unwanted insects that can invade kitchens, walls, or outdoor spaces. These services also promote safety by minimizing the risk of pest-related issues, such as contamination or structural damage, ensuring the property remains functional and secure.

Choosing professional ant extermination can enhance curb appeal by maintaining a tidy and pest-free exterior. Additionally, these services often lead to reduced maintenance needs over time, as they help prevent recurring infestations that can cause damage or require frequent interventions. Property owners often seek these benefits to enjoy a safer, more durable, and visually appealing home or business environment.

Get Ants Extermination Service Quotes

  • Ant Infestation Removal - when ants invade kitchens or food storage areas in homes or businesses.
  • Carpenter Ant Treatments - if you notice wood damage or hollow-sounding wood in structures near Venus, TX.
  • Outdoor Ant Control - to prevent ant colonies from establishing around yards, patios, or garden spaces.
  • Emergency Ant Extermination - during sudden ant swarms or when large numbers threaten indoor spaces.
  • Persistent Ant Problem Solutions - when recurring ant issues require ongoing treatment from local pest control providers.

Get Ants Extermination Service Quotes

Ants Extermination Service
Ants Extermination Service
Ants Extermination Service

Ants extermination services involve identifying and eliminating ant infestations within residential, commercial, or industrial properties. Service providers typically conduct a thorough inspection to determine the extent of the ant problem and locate entry points or nests. Once the infestation is assessed, professionals may apply targeted treatments such as baits, sprays, or dusts designed to eradicate the ants and prevent future invasions. These treatments are selected based on the type of ant species and the specific conditions of the property to ensure effective control.

Ant problems can cause various issues for property owners, including structural damage, contamination of food supplies, and general nuisance. Certain ant species, like carpenter ants, are known to damage wooden structures, which can compromise the integrity of a building if left unaddressed. Additionally, ants can quickly multiply and spread throughout a property, making early intervention crucial. Professional extermination services help mitigate these problems by removing existing colonies and implementing measures to reduce the likelihood of re-infestation.

Properties that commonly utilize ants extermination services include single-family homes, apartment complexes, restaurants, and retail stores. Homes often seek treatment to protect food supplies and prevent structural damage, especially in kitchens and basements. Commercial establishments, such as restaurants and food processing facilities, require regular pest management to maintain hygiene standards and comply with health regulations. Additionally, warehouses and storage units may also benefit from ant control to safeguard stored goods and prevent contamination.

Engaging with local pest control providers ensures that property owners receive tailored solutions for their specific ant issues. These professionals use proven methods to eliminate existing colonies and implement preventative strategies to maintain a pest-free environment. Whether addressing a sudden infestation or seeking ongoing pest management, contacting experienced extermination service providers can help restore comfort and safety to various types of properties in areas like Venus, TX, and nearby communities.

The overview below groups typical Ants Extermination Service projects into broad ranges so you can see how smaller, mid-sized, and larger jobs often compare in Venus, TX.

In many markets, a large share of routine jobs stays in the lower and middle ranges, while only a smaller percentage of projects moves into the highest bands when the work is more complex or site conditions are harder than average.

Initial Inspection - The cost for an initial ant inspection typically ranges from $50 to $150, depending on property size and complexity. This fee covers identifying ant species and assessing the extent of the infestation.

Perimeter Treatment - Applying ant control treatments around a home’s perimeter generally costs between $100 and $300. The price varies based on property size and the type of treatment used.

Full-Service Extermination - Complete ant extermination services often range from $200 to $600. Larger properties or severe infestations may incur higher costs within this range.

Follow-Up Visits - Follow-up treatments or inspections typically cost between $50 and $200 each. These visits ensure the effectiveness of the initial treatment and ongoing ant control.

Actual totals will depend on details like access to the work area, the scope of the project, and the materials selected, so use these as general starting points rather than exact figures.

Get an Ants Extermination Service Quote

Ants Extermination services connect homeowners with local pest control providers specializing in effective ant removal solutions. These professionals assess infestation levels and implement targeted treatments to eliminate ant colonies.

Ants Prevention services offer strategies to prevent future ant problems, including sealing entry points and advising on sanitation practices. Local pros can help create a barrier to keep ants from returning.

Residential Ant Control services focus on eliminating ants in homes and living spaces, using safe and effective methods tailored to the property. Experts help restore comfort by reducing ant activity indoors.

Commercial Ant Extermination services cater to businesses seeking to manage ant issues in commercial facilities. Local pest control providers deliver customized plans to protect workplaces and customer areas.

Natural Ant Control services involve eco-friendly approaches to ant removal, utilizing non-chemical methods and natural repellents. These options are suitable for those seeking environmentally conscious solutions.

Emergency Ant Control services are available for urgent ant infestations requiring immediate attention. Local pros respond promptly to address severe or unexpected ant problems efficiently.

Ants Extermination Service

When evaluating ants extermination services, experience is a key factor to consider. Local pros often have extensive knowledge of common ant species in Venus, TX, and surrounding areas, which can contribute to more effective treatment strategies. Reviewing the background and years of service of potential providers can help gauge their familiarity with local pest issues. Reputable references or reviews from previous clients can offer insights into their track record and reliability, helping homeowners identify professionals with a history of satisfactory work.

Clear communication and well-defined expectations are essential when choosing an ant extermination service. Pros should be able to provide detailed information about their methods, what homeowners can anticipate during and after treatment, and any recommended follow-up actions. Open dialogue ensures that homeowners understand the scope of services offered and can address any questions or concerns before work begins. Establishing transparent communication helps foster trust and ensures that both parties are aligned on the process.

The site introduces a range of local options, enabling homeowners to compare different providers in Venus, TX, and nearby areas. While the site connects users with local pros, it does not perform the extermination work itself. Instead, it emphasizes the importance of researching each professional’s experience, references, and communication style. This approach helps homeowners make informed decisions by considering reputable, experienced service providers who are capable of addressing their ant problems effectively.

Get an Ants Extermination Service Quote

Property owners in Venus, TX use Ants Extermination Service services for practical projects around their homes and businesses. The sections below highlight everyday jobs and straightforward project options.

Ants Extermination Service
Ants Extermination Service

Ants extermination services are commonly sought by property owners in Venus, TX who notice ant activity around their homes or businesses. Common situations include discovering trails of ants in kitchens, bathrooms, or other indoor spaces, which can indicate an ongoing infestation. Property owners may also seek assistance after observing ants invading outdoor areas such as gardens, patios, or near foundation cracks, especially during warmer months when ant activity tends to increase.

Many property owners in Venus look for ant extermination services to address concerns about preventing damage to structures or stored goods. Ants can sometimes become a nuisance when they invade food storage areas or interfere with outdoor activities. Additionally, some property owners seek professional help to eliminate ant colonies that have established themselves in hard-to-reach places, aiming to restore comfort and cleanliness to their living or working environments.

Get an Ants Extermination Service Quote

How do ant extermination services work? Ant extermination services typically involve inspecting the property to identify ant trails and nests, then applying targeted treatments to eliminate the colony and prevent future infestations.

Are ant treatments safe for pets and children? Most professional ant extermination methods are designed to be safe when applied by experienced technicians, but it's recommended to follow specific safety instructions provided by the service provider.

How long does an ant extermination treatment last? The duration of effectiveness varies depending on the treatment type and extent of the infestation, with many services providing ongoing prevention options.

Can ant extermination services prevent future infestations? Yes, many providers include preventative measures and advice to help reduce the likelihood of ants returning to the treated area.

How can I prepare my home before an ant extermination service? Homeowners are usually advised to clean the area, remove food and water sources, and clear clutter near entry points to facilitate effective treatment application.

Ants Extermination Techniques - Local pest control providers utilize a variety of methods to effectively eliminate ant infestations, including baiting and targeted treatments.

Identifying Ant Species - Professionals can accurately identify different ant species to determine the most effective extermination approach.

Preventive Ant Control - Service providers offer advice and treatments to help prevent future ant problems around residential and commercial properties.

Emergency Ant Extermination Services - Immediate assistance is available from local pros for urgent ant infestations requiring swift action.

Ants Extermination Service

Considering Ants Extermination Service for a property in Venus, TX? The sections above highlight common project types, practical options, and details that often shape the scope of work.

When you are ready, use the quote form to share a few details about your project. Local pros can review the basics and respond with options that match what you have in mind.

Get an Ants Extermination Service Quote

Ants Extermination Quotes

Our Trusted Partners
Cantu Pest Control
Orkin
Hawx Pest Control