Local Service Overview

Get Ants Extermination Service in Mansfield, TX

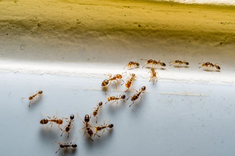
Ants extermination services for property owners in Mansfield, TX, and nearby areas address ant infestations, prevent future invasions, and handle residential and commercial pest control projects.

Mansfield, TX

Ants extermination services in Mansfield, TX, are essential for property owners seeking to maintain a comfortable and functional living or working environment. Effective pest control helps prevent ant infestations that can compromise the usability of indoor spaces and damage structures over time. By addressing these issues promptly, property owners can enjoy peace of mind, knowing that their homes or businesses remain safe and free from disruptions caused by unwanted pests.

Choosing professional ant extermination also offers benefits related to durability and reduced maintenance. Proper treatment can eliminate existing colonies and prevent future invasions, helping to preserve the property's curb appeal and structural integrity. This proactive approach can lead to fewer pest-related concerns, saving time and effort while maintaining a clean, inviting appearance for residents and visitors alike.

Get Ants Extermination Service Quotes

  • Ants Extermination - homeowners experiencing persistent ant infestations in residential or commercial properties may need professional extermination services.
  • Ants Extermination - businesses dealing with ant problems that threaten hygiene standards or customer comfort should seek expert pest control solutions.
  • Ants Extermination - properties near wooded or grassy areas, such as Mansfield, TX, might require regular ant inspections to prevent infestations.
  • Ants Extermination - during seasonal ant activity peaks, property owners may need targeted treatments to manage growing ant populations.
  • Ants Extermination - new construction or renovation sites in nearby areas could benefit from preemptive ant control to avoid future infestations.

Get Ants Extermination Service Quotes

Ants Extermination Service
Ants Extermination Service
Ants Extermination Service

Ants extermination services involve identifying and eliminating ant colonies that have invaded a property. Service providers typically conduct thorough inspections to locate nests and entry points, using targeted treatments to eradicate existing ant populations. These treatments may include the application of insecticides both indoors and outdoors, along with strategies to disrupt the ants' trails and prevent future infestations. The goal is to remove visible ants and eliminate the source of the problem to restore a pest-free environment.

Ant infestations can cause various issues for property owners, including structural damage, contamination of food supplies, and general nuisance. Certain ant species, such as carpenter ants, are known to damage wooden structures, which can lead to costly repairs if not addressed promptly. Additionally, ants can contaminate food stored in kitchens or pantries, creating hygiene concerns. Extermination services help resolve these problems by effectively controlling and removing ant populations, reducing the risk of ongoing or future issues.

Both residential and commercial properties frequently utilize ants extermination services to maintain a pest-free environment. Homes, especially those with accessible food sources and entry points, often seek treatment to prevent or eliminate ant invasions. Commercial properties such as restaurants, grocery stores, and food processing facilities may require regular pest management to meet health standards and protect their inventory. Additionally, office buildings and retail spaces may also call on pest control providers to address ant problems that could impact their operations and reputation.

Professional ant extermination services are tailored to the specific needs of each property type and infestation severity. Service providers may employ various methods, including baiting systems, residual insecticides, and barrier treatments, to ensure comprehensive control. Property owners are encouraged to contact local pest control specialists to assess their situation and determine the most appropriate treatment options. Properly managed extermination efforts can help maintain a clean, safe, and comfortable environment by effectively managing ant populations.

The overview below groups typical Ants Extermination Service projects into broad ranges so you can see how smaller, mid-sized, and larger jobs often compare in Mansfield, TX.

In many markets, a large share of routine jobs stays in the lower and middle ranges, while only a smaller percentage of projects moves into the highest bands when the work is more complex or site conditions are harder than average.

Initial Inspection and Treatment - The cost for an initial ant inspection and treatment typically ranges from $100 to $300, depending on the size of the property and severity of the infestation. Example prices might be around $150 for a standard residential property. Additional treatments may incur extra charges.

Per-Visit Service - Many service providers charge between $75 and $200 per visit for targeted ant control. Larger homes or heavily infested areas can cost toward the higher end of this range. Multiple visits may be recommended for complete eradication.

Per-Quadrant or Per-Area Pricing - Some providers offer pricing based on specific areas, averaging $50 to $150 per quadrant or section of a property. This approach allows for more tailored treatment options based on infestation extent.

Ongoing Maintenance Plans - Regular ant control maintenance plans typically cost between $200 and $500 annually. These plans often include periodic treatments and inspections to prevent future infestations in Mansfield, TX and nearby areas.

Actual totals will depend on details like access to the work area, the scope of the project, and the materials selected, so use these as general starting points rather than exact figures.

Get an Ants Extermination Service Quote

Ants Extermination - Local pest control providers offer specialized services to eliminate ant infestations in residential and commercial properties in Mansfield, TX and nearby areas.

Ant Control for Homes - Service providers focus on identifying ant entry points and applying targeted treatments to protect homes from recurring ant problems.

Commercial Ant Extermination - Local pros provide tailored solutions to address ant issues in restaurants, offices, and retail spaces, ensuring minimal disruption.

Eco-Friendly Ant Treatments - Many service providers utilize environmentally conscious methods to control ants while reducing chemical usage.

Preventive Ant Barrier Services - Experts establish barriers around properties to prevent future ant invasions and maintain a pest-free environment.

Emergency Ant Extermination - Immediate response services are available for unexpected ant infestations that require quick resolution.

Ants Extermination Service

When comparing local pros for ant extermination services, it is important to consider their experience in handling ant infestations specific to residential properties in Mansfield, TX, and surrounding areas. A seasoned provider typically has a history of managing various ant species and can offer insights into effective treatment methods. Gathering information about their background and the types of ant problems they have addressed can help homeowners assess their familiarity with local pest challenges. While experience alone does not guarantee quality, it can be a useful indicator of a service provider’s ability to handle different scenarios efficiently.

Clear communication and well-defined written expectations are key factors when selecting a pest control professional. Reputable local pros often provide detailed explanations of their treatment approaches, what homeowners can expect during and after service, and any necessary preparations or follow-up steps. This transparency helps ensure that homeowners are well-informed about the process and can make decisions with confidence. It is advisable to inquire about how the provider communicates throughout the service process, including updates and post-treatment guidance, to facilitate a smooth and stress-free experience.

References and reputation play a vital role in evaluating local ant extermination providers. Homeowners may seek out reviews, testimonials, or recommendations from previous clients to gauge the quality of service offered. Reputable providers tend to have a track record of satisfied customers and positive feedback within the local community. While the site introduces options for local professionals, it is recommended to verify references independently and consider the consistency of their reputation. Effective communication and reliable references can help homeowners select a service provider that aligns with their expectations and ensures a professional approach to ant control.

Get an Ants Extermination Service Quote

Property owners in Mansfield, TX use Ants Extermination Service services for practical projects around their homes and businesses. The sections below highlight everyday jobs and straightforward project options.

Ants Extermination Service
Ants Extermination Service

Ants extermination services are commonly sought by property owners in Mansfield, TX, when ants become a persistent nuisance inside or around their homes and businesses. Common situations include noticing ant trails on countertops, in kitchens, or near entry points, which can indicate an active infestation. Property owners may also look for professional help if ants are found nesting in walls, yards, or garden beds, especially when DIY methods have proven ineffective or only provide temporary relief.

In addition to indoor infestations, many property owners seek ant extermination services to prevent future invasions and protect their properties. This is often necessary in cases where ants threaten to damage plants, wooden structures, or stored items. Local service providers can help identify the source of ant activity and implement targeted treatments to address the specific types of ants present, helping to maintain a pest-free environment.

Get an Ants Extermination Service Quote

How do ant extermination services work? Ant extermination services typically involve inspecting the property to identify ant species and entry points, followed by targeted treatments to eliminate colonies and prevent future infestations.

Are ant extermination treatments safe for pets and children? Most professional ant treatments are formulated to be safe when applied by experienced technicians, but it’s recommended to follow any specific safety instructions provided by the service provider.

How long does an ant extermination treatment last? The duration of effectiveness varies depending on the treatment method and the extent of the infestation, but many services offer ongoing monitoring or follow-up options.

What signs indicate a need for ant extermination? Signs include visible ant trails, nests near the property, and increased ant activity indoors or outdoors, especially during warmer months.

How can I prevent future ant infestations? Preventative measures include sealing entry points, keeping surfaces clean, removing food sources, and scheduling regular inspections with local pest control providers.

Ants Extermination Solutions - Local service providers offer targeted treatments to eliminate ant colonies and prevent future infestations.

Inspection and Identification - Professionals can assess property conditions to identify ant entry points and nesting areas for effective removal strategies.

Preventive Treatments - Experts recommend ongoing barrier methods to keep ants from returning to residential and commercial properties.

Integrated Pest Management - Service providers utilize comprehensive approaches combining sanitation, exclusion, and treatment to control ant problems.

Ants Extermination Service

Considering Ants Extermination Service for a property in Mansfield, TX? The sections above highlight common project types, practical options, and details that often shape the scope of work.

When you are ready, use the quote form to share a few details about your project. Local pros can review the basics and respond with options that match what you have in mind.

Get an Ants Extermination Service Quote

Ants Extermination Quotes

Our Trusted Partners
Cantu Pest Control
Orkin
Hawx Pest Control